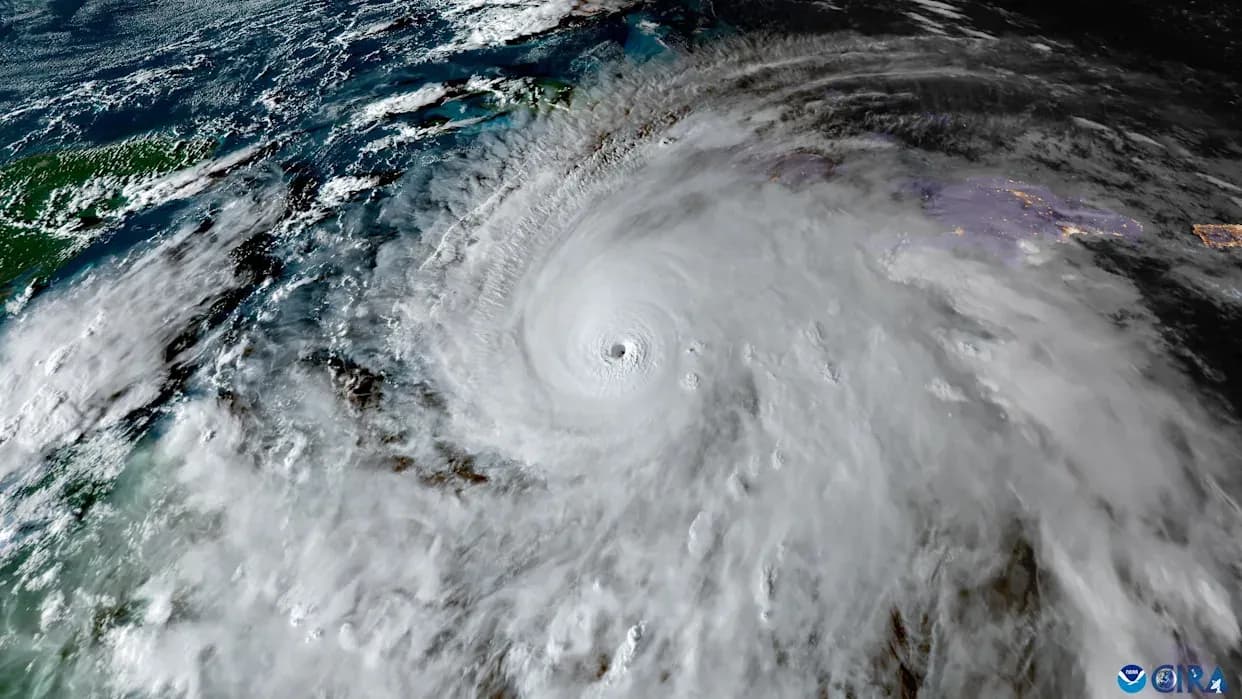
El Huracán Melissa subió hasta la categoría 5, la más alta de todas, y espera que toque tierra en Jamaica durante las próximas horas, según un reporte del Centro Nacional de Huracanes (NHC) de Estados Unidos.
Con vientos de hasta 295 km/h y ráfagas de mayor intensidad, el fenómeno climatológico se convirtió en el más fuerte de su tipo en lo que va de 2025 y en uno de los más grandes registrados en el Océano Atlántico.
Se prevé que el huracán provoque inundaciones, deslizamientos de tierra, lluvias y fallas en los servicios públicos de Jamaica, por lo que se instó a la población a tomar resguardo y no abandonar sus casas.
Varios organismos internacionales estimaron que 1,5 millones de jamaiquinos resulten afectados por el impacto de Melissa, señalando que será «la tormenta del siglo» para la nación centroamericana.
También se esperan precipitaciones y ráfagas de viento en Cuba, Haití y República Dominicana, países donde se espera que Melissa tenga efecto durante el transcurso de este martes, 28 de octubre. Cabe agregar que algunas comunidades han sufrido cortes eléctricos y se han quedado sin agua por tubería.







